Eladó fejlesztési terület - Abasár (73389463)
ELADÓ INGATLANOK
KIADÓ INGATLANOK
CSERE INGATLANOK
KÜLFÖLDI INGATLANOK
RÉSZLETES KERESÉS
INGATLAN HÍREK
HIRDETÉS FELADÁS
BELÉPÉS
REGISZTRÁCIÓ
hirdetés 1. fotó
hirdetés 2. fotóhirdetés 3. fotó
hirdetés 4. fotóhirdetés 5. fotó
hirdetés 6. fotó
+ 13 fotó
hirdetés 7. fotó
+ 10 fotó
hirdetés 7. fotóhirdetés 8. fotóhirdetés 9. fotóhirdetés 10. fotóhirdetés 11. fotóhirdetés 12. fotóhirdetés 13. fotóhirdetés 14. fotóhirdetés 15. fotóhirdetés 16. fotó

Ingatlan adatai

  • Eladó vagy kiadó:Eladó
  • Település:Abasár
  • Kategória:Fejlesztési terület
  • Alkategória:Lakóterület
  • Alapterület:nincs megadva
  • Telekterület:3648 m2
  • Csere is:Nem
  • Hirdető:Cég
  • Élő videón megtekinthető:Nem
  • Villany:nincs megadva
  • Víz:nincs megadva
  • Gáz:nincs megadva
  • Csatorna:nincs megadva
  • Kapcsolatfelvétel
Takács Zsuzsanna
Takács Zsuzsanna
+36-(30)-495-3819
Mondd meg a hirdetőnek, hogy a megveszLAK-on találtad a hirdetést.
Referencia szám: M322622
Érdekel kedvezményes lakáshitel ajánlat is
Az ASZF-et és az Adatkezelési tájékoztatót elfogadom

Hitel ajánlatok

 

Ingatlan hirdetés leírása

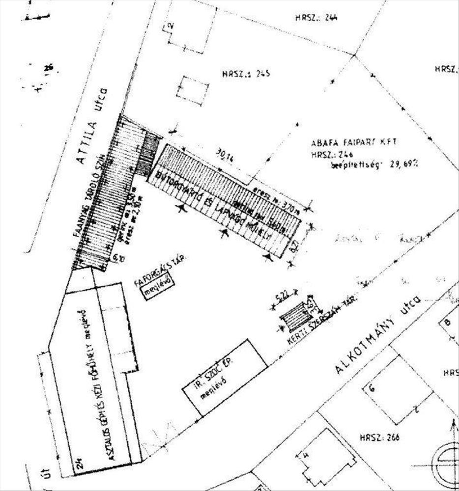
Eladó Ipari terület, Abasár


Heves megye, Gyöngyöstől 10 km-re, Abasár főútja mellett, belterületi telken elhelyezkedő, most is működő asztalosipari üzem telke és épületegyüttese eladó. Érdeklődés esetén még az 1994-be bejegyzett, jól működő, per- és tehermentes cég is és a meglévő megrendelői kör is eladás tárgyát képezheti.
A telek 3. 648 m2-es, két utcáról könnyen megközelíthető, körbekerített.
Tulajdoni lapon : kivett iparterület.
A beépített alapterület: 996 m2. Építmények : faipari megmunkáló kézi- és gépműhely, bútorlapvágó és egyedi bútorgyártó csarnok, iroda és szociális épület, fűrészpor leválasztó- és tároló épület, fedett-nyitott tárolók.
Az épületek részben felújítottak, vegyes falazatúak. Fűtésükről gázkonvektorok, vegyes üzemű fűtő berendezések gondoskodnak, radiátor hőleadókkal, valamint hőlégbefúvó is működik, amit vegyes tüzelésű kazán táplál. Áramszolgáltatás: 3 x 100 A.
Az üzem működéséhez szükséges minden szakhatósági engedély rendelkezésre áll! Jelenleg kisbútorokat, lakberendezési tárgyakat, félkész natúr termékeket, iroda- és konyhabútorokat gyártanak külföldi- és belföldi megrendelésekre. Az üzem területén 16 db gépkocsi parkolási lehetőség adott. További üzembővítésre, építkezésekre alkalmas a telek. a település megközelítése gépkocsival és autóbusszal lehetséges. Helyközi buszmegálló az üzem mellett.
Az iparterület irányára: 120 millió Ft + ÁFA.
Ha nem akar bajlódni cégalapítással, gépekkel ellátott üzemterület kialakítással, sok-sok engedélyeztetéssel, megrendelő ügyfélkör kiépítéssel, akkor jó helyen jár! ! !
A telekvásárlással lehetőséget kap egy asztalos ipari vállalkozás tulajdonosává válni.
Kímélje meg magát a sok-sok utánajárástól, idő- és anyagi veszteségtől, a fennálló működést csak folytatnia kell! Jöjjön, tekintse meg!
M322622
Az OTP Ingatlanpont, mint egyetlen közvetlen banki hátterű ingatlanközvetítő társaság teljes körű ügyintézéssel áll az eladók és a vevők rendelkezésére! a kínálatunkból választott ingatlan finanszírozásához minősített fogyasztóbarát, piaci és kedvezményes hitel- és lízingkonstrukciókat kínálunk (lakásvásárlási hitel, CSOK plusz, szabad felhasználású hitel, babaváró hitel, céges hitelek, pályázatok, amennyiben az ügyfél és az ingatlan megfelel a feltételeknek). Az adásvételi szerződés megkötéséhez igény szerint megbízható ügyvédi közreműködést biztosítunk, és segítséget nyújtunk az adásvételhez kapcsolódó egyéb ügyek intézéséhez.
Ha az új ingatlana megvásárlásához a jelenlegi ingatlanát el kell adnia, abban is szívesen segítünk.

Referencia szám: m322622-ml Hitel.hu - Hasonlítsa össze a bankok lakáshitel ajánlatait

Tetszett ez az eladó Abasári fejlesztési terület? Hívd fel a hirdetőt most, és tudj meg mindent erről az eladó fejlesztési területről! Ha gondolod nézelődj tovább az eladó fejleszttési terület Abasár oldal hirdetései között.

Az eladó fejlesztési területek menüpontban további hirdetések között is böngészhetsz. Ha van kedved, akkor böngészhetsz a Takács Zsuzsanna összes hirdetése között, vagy akár a/az OTPip Budapest XIII. kerület Lehel utca 50 - OTP Ingatlanpont Iroda összes hirdetése között is.

 
 
© megveszLAK.hu - Az egyszerűen jó ingatlan hirdetési oldal