- >>
- eladó ingatlanok
- >>
- eladó fejlesztési terület
- >>
- eladó fejlesztési terület Békéscsaba
- >>
Eladó fejlesztési terület - Békéscsaba
| | |||
| Kedvencnek jelölöm | Elküldöm emailben | Megosztás | Szavazás |
| Kedvezményes lakáshitel ajánlatok | |||
| 199 900 000 HUF | |||
Ingatlan adatai
- Eladó vagy kiadó:Eladó
- Település:Békéscsaba
- Kategória:Fejlesztési terület
- Alkategória:Lakóterület
- Alapterület:nincs megadva
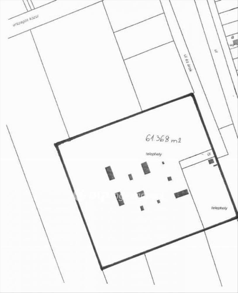
- Telekterület:61368 m2
- Csere is:Nem
- Hirdető:Cég
- Élő videón megtekinthető:Nem
- Villany:Telken belül
- Víz:Nincs
- Gáz:nincs megadva
- Csatorna:nincs megadva
- Üzenetküldés
- Hívás

Berényiné Annus Krisztina
Mondd meg a hirdetőnek, hogy a megveszLAK-on találtad a hirdetést.
Referencia szám: M210458

Hitel ajánlat
Ingatlan hirdetés leírása
Eladó Ipari terület, Békéscsaba
Békéscsabán, az Orosházi út (444-es út) városból kivezető szakasza mellett, 6, 14 hektár területű, ipari hasznosításra alkalmas külterületi telephely eladó! Az ingatlan körforgalmi csomópont közelében található, mely körforgalom az Orosházi (444-es) utat összeköti a 47-es, és a 44-es főútvonallal. a telek szabályos alakú, a 444-es számú útról letérve bekötőúton közelíthető meg, övezeti besorolása Gipe-4, amely 40%-os beépíthetőséget engedélyez, maximum 7, 5 méter építménymagasság mellett! a terület betonoszlopos dróthálós kerítéssel körbe van kerítve. a közművek közül elektromos árammal ellátott. Az ingatlanon található felújítandó állapotú épületek raktárként üzemeltek. Az ingatlan többcélú, mezőgazdasági, ipari, kereskedelmi hasznosításra alkalmas, de akár napelem park telepítésére is megfelelő. Amennyiben érdeklődését felkeltettem, az ingatlan előre egyeztetett időpontban megtekinthető! Az OTP Ingatlanpont eladó és kiadó ingatlanokat keres, magyar és külföldi ügyfelei részére, teljes körű pénzügyi ügyintézéssel!Referencia szám: m210458-ml Hitel.hu - Hasonlítsa össze a bankok lakáshitel ajánlatait

