- >>
- eladó ingatlanok
- >>
- eladó fejlesztési terület
- >>
- eladó fejlesztési terület Békéscsaba
- >>
Eladó fejlesztési terület - Békéscsaba
| | |||
| Kedvencnek jelölöm | Elküldöm emailben | Megosztás | Szavazás |
| Kedvezményes lakáshitel ajánlatok | |||
| 300 000 000 HUF | |||
Ingatlan adatai
- Eladó vagy kiadó:Eladó
- Település:Békéscsaba
- Kategória:Fejlesztési terület
- Alkategória:Lakóterület
- Alapterület:nincs megadva
- Telekterület:24724 m2
- Csere is:Nem
- Hirdető:Cég
- Élő videón megtekinthető:Nem
- Villany:Telken belül
- Víz:Telken belül
- Gáz:Telken belül
- Csatorna:nincs megadva
- Üzenetküldés
- Hívás

Referencia szám: M238861

Ingatlan hirdetés leírása
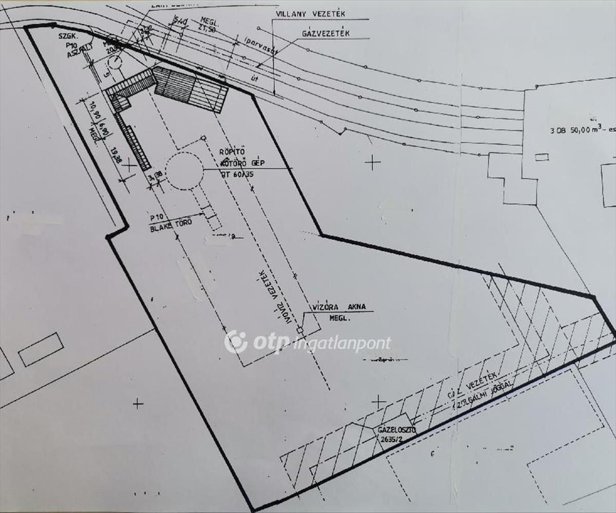
Eladó Ipari terület, Békéscsaba
Békés vármegye székhelyén, Békéscsabán, a Kétegyházi út melletti ipari területen telephely eladó! a gipe-3-as övezetbe tartozó 15.542 m2 alapterületű telephelyen, bontott anyag újrahasznosítása történik az egyedileg kialakított törő gépsorral. Az összközműves ipari árammal ellátott ingatlanon, iroda és szociális helyiségeket tartalmazó épület, műhely, géptároló, raktár, hídmérleg (50 tonna) kezelő helyiség és géptároló található, összesen 610 m2 beépített területen. a telephellyel szemben, külön helyrajzi szám alatt nyilvántartott gipe-2-es övezetbe tartozó 9.182 m2 területű, kivett beépítetlen terület megnevezésű ingatlan is eladó. Mindkét ingatlan ipari vágánnyal csatlakozik a vasúti hálózathoz! a létesítmény jelenleg is működő cég tulajdonában van, opcionálisan a céggel együtt is megvásárolható. Amennyiben érdeklődését felkeltettem, az ingatlan előre egyeztetett időpontban megtekinthető! ----------------------Az OTP Ingatlanpont teljes körű ügyintézéssel áll az eladók és a vevők rendelkezésére! a kínálatunkból választott ingatlan finanszírozásához kedvezményes hitel- és lízingkonstrukciókat, megoldásokat kínálunk, melyek ügyintézése ingyenes. Kérje személyre szabott ajánlatunkat! Az adásvételi szerződés megkötéséhez igény szerint megbízható ügyvédi közreműködést biztosítunk, és segítséget nyújtunk az adásvételhez kapcsolódó ügyek intézéséhez.300000000 Ft Hitel.hu - Hasonlítsa össze a bankok lakáshitel ajánlatait


