Eladó fejlesztési terület - Jánoshalma
- INGYENES HIRDETÉS FELADÁS
Ingatlan adatai
- Eladó vagy kiadó:Eladó
- Település:Jánoshalma
- Kategória:Fejlesztési terület
- Alkategória:Lakóterület
- Alapterület:nincs megadva
- Telekterület:19153 m2
- Csere is:Nem
- Hirdető:Cég
- Élő videón megtekinthető:Nem
- Villany:Telken belül
- Víz:Telken belül
- Gáz:Telken belül
- Csatorna:nincs megadva
- Kapcsolatfelvétel

Jávor Dávid
+36-(20)-663-4459
Mondd meg a hirdetőnek, hogy a megveszLAK-on találtad a hirdetést.
Referencia szám: M266463
Ingatlan hirdetés leírása
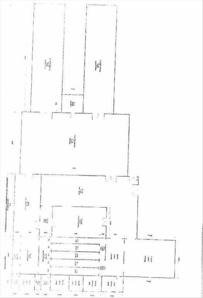
Eladó Ipari terület, Jánoshalma
Bács-Kiskun vármegye, Jánoshalma városában ipari ingatlan eladó!
A telephely magában foglal hűtőházat, irodaházat, raktárakat és egyéb kiszolgáló helyiségeket, a beépíthetősége 50 %. a telek területe 19. 153 m2, mely két helyrajzi számon található. Az 1970-es építésű épületegyüttes vasbeton szerkezetű, tégla falazattal. Az aljzat: kőlap, simított beton, illetve kerámia, az irodahelyiségekben pedig parketta és pvc. a fűtésrendszer gázkonvektoros. a 2321 m2-es hűtőházban 2 db 259 m2 és 1 db 385 m2 alapterületű, amnóniás hűtőközegű hűtőkamra, illetve két szárazraktár, egy manipuláló és több kisebb kiszolgáló helyiség található. Óriási lehetőséget hordoz a hűtőház hasznosíthatóságát illetően a nagy teljesítményű ammóniás rendszer megléte, amely egy zöldmezős beruházás részeként 20%-os költség mellett fagyasztóvá átalakítható. a közművek közül Víz, villany, és csatorna hálózattal is rendelkezik. Egy 40 tonnás analóg működésű hídmérleg is megtalálható a területen.
A potenciális vevő gondolkodhat logisztikai központ létesítésében, gyártósorok elhelyezésében, elláthat raktározási feladatokat is, tárolhat nagy mennyiségű ruhaneműt, műtrágyát, gabonaféléket is de akár több ezer konténert is betárolhat.
A saját ipari vágánnyal rendelkező telephely Kiskunhalastól 20 km-re, Bajától 30 km-re, az 54 és 55 számú főutak között, a hamarosan átadásra kerülő Budapest-Belgrád vasútvonal és a tervezett M9-es gyorsforgalmi út közelében helyezkedik el.
Teljes körű banki termékek ügyintézésével állunk rendelkezésére sorban állás nélkül! Az adásvételi szerződéshez megbízható ügyvédi hátteret biztosítunk. Megtekintésért kérem hívjon bizalommal! Eladó ingatlana van? Szívesen segítek az értékesítésben!
Irányár: 350000000 Ft
Jávor Dávid
+36206634459
Referencia szám: m266463-ml Hitel.hu - Hasonlítsa össze a bankok lakáshitel ajánlatait


