Eladó ipari ingatlan Tiszakécske
| Kedvencbe | Megosztás | Árfigyelő |
| Kedvezményes lakáshitel ajánlatok | ||
| 135 000 000 HUF | ||
Ingatlan adatai
- Eladó vagy kiadó:Eladó
- Település:Tiszakécske
- Kategória:Ipari ingatlan
- Alkategória:Egyéb
- Alapterület:960 m2
- Telekterület:nincs megadva
- Csere is:Nem
- Hirdető:Cég
- Élő videón megtekinthető:Nem
- Hány szintes az ingatlan:nincs megadva
- Hányadik emeleti:nincs megadva
- Parkolási lehetőség:Garázsban
- Energiatanúsítvány:nincs megadva
- Villany:nincs megadva
- Víz:nincs megadva
- Gáz:nincs megadva
- Csatorna:nincs megadva
- Üzenetküldés
- Hívás

Dakó Ferenc András
Mondd meg a hirdetőnek, hogy a megveszLAK-on találtad a hirdetést.
Referencia szám: 3615731

Hitel ajánlat
Ingatlan hirdetés leírása
Munkásszállásnak ,akár pályázatra is alkalmas ingatlan ELADÓ!
Tiszakécskén, közvetlenül a főút mellett a tiszakécskei gyógy-és termál fürdő és a Tisza parti üdülőövezet közelében, eladó egy több épületből álló ingatlan.A most megépülő m44 autópályán könnyen elérhető az ország bármely pontja.
Az épület alkalmas szálloda, panzió, nyugdíjas otthon, munkás szálló kialakítására is.
A XX. Század elején épült alápincézett kastély épületben 8 szoba és fürdők.
A 80-as években épült L alakú épületben amelynek egyik szárnya emeletes 13 szoba található mindegyikben fürdőszobával.
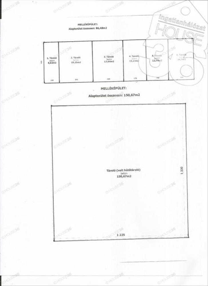
Melléképület raktárakkal.
A telken található még egy 150 m2 alapterületű hűtőház.
- Összközműves
- teljesen bekerített 8599 m2 telek
- buszmegálló a kapuban
- főút mellett
- kúria épület 210. 74 m2
- Pince a főépület alatt 175. 36 m2
- L alakú épület földszint 349, 51 m2
- L alakú épület emelet 228. 3 m2
- Tároló hűtő 150. 67 m2
- melléképület 84. 48 m2
Az épületekben további szobák kialakítására is van lehetőség.
Rendezett parkosított terület.
Mivel a 90-es évek vége óta az ingatlan nincs hasznosítva ezért felújítást igényel.
Az ingatlan akár hét végén is megtekinthető. Hívjon. Nézzük meg.
Figyelem az adatlap megbízónktól kapott adatok alapján készült pontosságáért felelősséget vállalni nem tudunk.
135000000 Ft
Az iroda legfrissebb, aktuális kínálatát a house36 saját weboldalán találja! Hitel.hu - Hasonlítsa össze a bankok lakáshitel ajánlatait

