Eladó telek Helvécia
| Kedvencbe | Megosztás | Árfigyelő |
| Kedvezményes lakáshitel ajánlatok | ||
| 350 000 000 HUF | ||
Ingatlan adatai
- Eladó vagy kiadó:Eladó
- Település:Helvécia
- Kategória:Telek
- Alkategória:Külterületi
- Alapterület:nincs megadva
- Telekterület:29689 m2
- Csere is:Nem
- Hirdető:Cég
- Élő videón megtekinthető:Nem
- Villany:Van
- Víz:Van
- Gáz:Nincs
- Csatorna:Van
- Üzenetküldés
- Hívás


Hitel ajánlat
Ingatlan hirdetés leírása
Az M5 KECSKEMÉTI Autópálya lehajtótól 4km-re, HELVÉCIÁN kínálo...
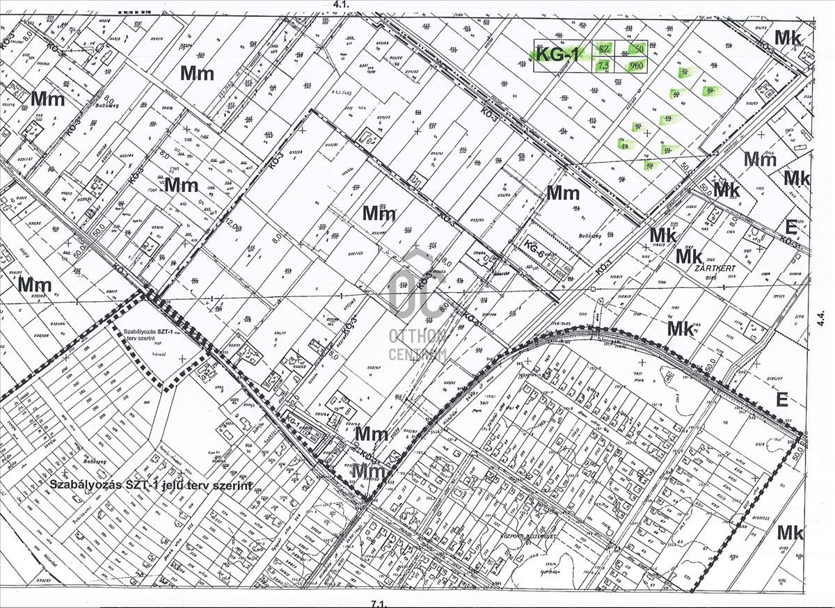
Az m5 kecskeméti Autópálya lehajtótól 4km-re, helvécián kínálom megvételre ezt az Ipari, Kereskedelmi, Gazdasági és Szolgáltató övezeti Telephelyet.Telek mérete: 29689 nm
A terület kg-1 besorolásba van, beépítési paraméterei a következők:
a) telek: min 30 m szélességű, min 900 m2 területű,
b) beépítés módja: szabadon álló
c) beépítettség: max 50%,
d) építménymagasság: min 3, 0 m, max 7, 5 m, ami a technológia függvényében változhat,
e) közművesítettség: egyedileg határozandó meg,
f) zöldfelület: min 25%.
Kereskedelmi, szolgáltató terület
14. §
(1)
A) Kereskedelmi, szolgáltató területbe a nagyközség nem zavaró hatású gazdasági tevékenységi célú épületekkel beépített, illetve beépíthető
területe sorolt.
B) a kg-1 és kg-2 jelű építési övezetbe sorolt területen az építési övezeti előírások figyelembevételével:
ba) mindenfajta nem jelentős zavaró hatású gazdasági tevékenységi célú épület,
bb) szolgálati lakás,
bc) igazgatási és egyéb irodaépület,
bd) parkolóház, üzemanyagtöltő,
be) sportépítmény,
bf) kivételesen egyházi, oktatási, egészségügyi, szociális épület és egyéb közösségi szórakoztató épület
elhelyezhető.
(5) Kg-1 jelű kereskedelmi szolgáltató területben
a) telek szélessége: közbenső min 18, 0 m, sarok min 20, 0m,
b) telek területe: min 900 m2,
c) beépítés módja: szabadon álló
d) beépítettség: max 50%
e) építménymagasság: min 3, 6 m, max 7, 5 m, ami a technológia függvényében változhat.
F) Közművesítés: Legalább a részleges közművesítés az építési munka feltétele, a szennyvízhálózat kiépítéséig ideiglenesen vízzáró medencés
gyűjtés megengedett,
g) zöldfelület: min 20%
h) Környezetterhelési határérték: az általános előírások szerint gazdasági területre és különleges területre előírtaknak megfelelően
i) kg-1* építési övezetben útcsatlakozás helyi közútról vagy magánútról biztosítandó.
J) kg-1** alövezetre az a)-h) pontok és kétszintes növényzettel megvalósítandó beültetési kötelezettség vonatkozik.
A 0113/2. ; És 0113/44. Hrsz-ú területek ip-2 övezetbe vannak:
15. §
(1) Az ipari terület gazdasági célú építmények elhelyezésére szolgál.
A területen elhelyezhetők:
-mindenfajta gazdasági tevékenységi célú építmény, - beleértve az üzemszerű állattartást is- és felület,
-gazdasági célú beépítést tartalmazó telken szolgálati lakás,
-egyházi, oktatási, egészségügyi, szociális épület,
-egyéb közösségi szórakoztató épület,
-sportépítmény,
-az ágazati előírásoknak megfelelő energia-, (elektromos energia és földgáz) vizi-, és távközlési közművek valamint a településgondozás
építményei.
(2) Az iparterület az alábbi építési övezeteket foglalja magába:
IP-1 jelű kommunális szolgáltatás építési övezete
IP-2 jelű majorsági építési övezet
IP-3 jelű építési övezet
Iparterületre vonatkozó általános előírások
(3) Szintterületi sűrűség: 1, 5.
Ipari terület építési övezeti előírásai:
(5) ip-2 jelű majorsági övezetében
(5) ip-2 jelű majorsági övezetében
a) telek: min 30 m szélességű, min 900 m2 területű,
b) beépítés módja: szabadon álló
c) beépítettség: max 50%,
d) építménymagasság: min 3, 0 m, max 7, 5 m, ami a technológia függvényében változhat,
e) közművesítettség: egyedileg határozandó meg,
f) zöldfelület: min 25%. Hitel.hu - Hasonlítsa össze a bankok lakáshitel ajánlatait

