Eladó telek Kaposvár
| Kedvencbe | Megosztás | Árfigyelő |
| Kedvezményes lakáshitel ajánlatok | ||
| 12 500 000 HUF | ||
Ingatlan adatai
- Eladó vagy kiadó:Eladó
- Település:Kaposvár
- Kategória:Telek
- Alkategória:Külterületi
- Alapterület:nincs megadva
- Telekterület:11600 m2
- Csere is:Nem
- Hirdető:Cég
- Élő videón megtekinthető:Nem
- Villany:nincs megadva
- Víz:nincs megadva
- Gáz:nincs megadva
- Csatorna:nincs megadva
- Üzenetküldés
- Hívás

Referencia szám: 65466

Hitel ajánlat
Ingatlan hirdetés leírása
Eladó Kaposváron a Nagyváthy János utcában külterületi művelés...
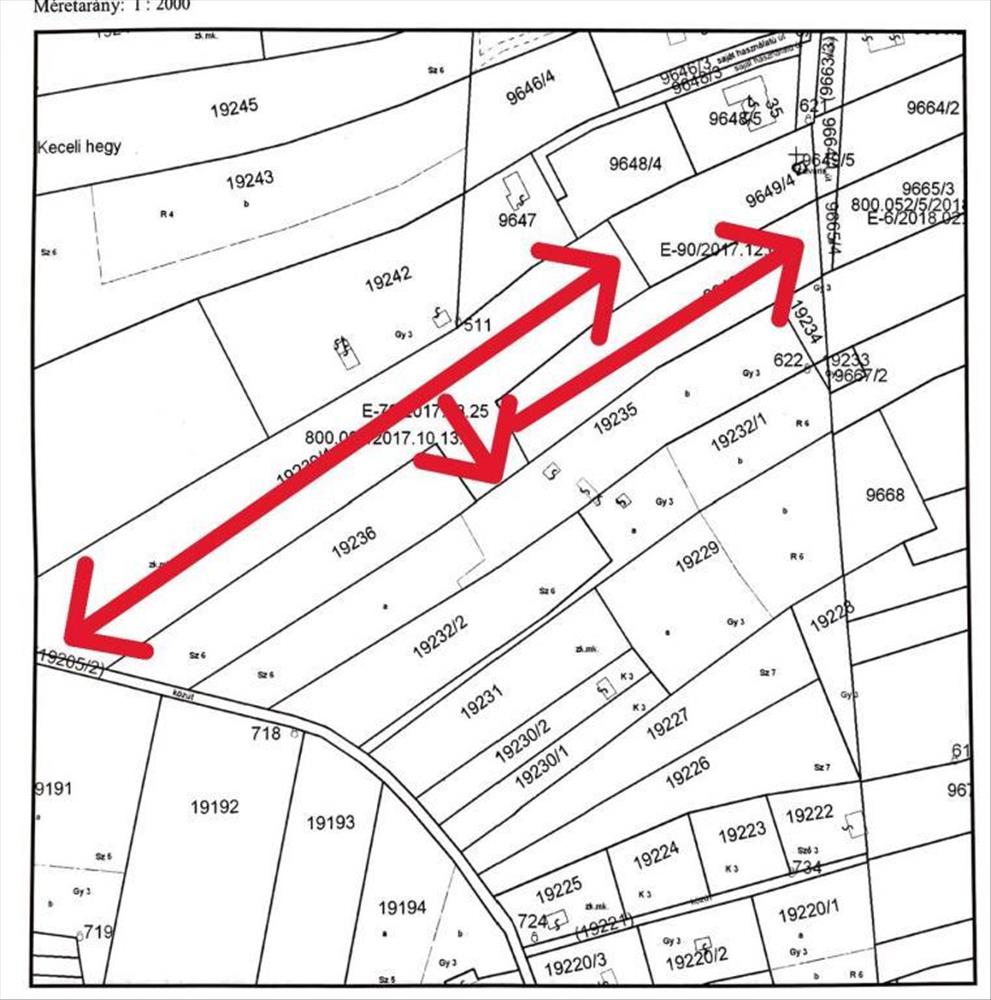
Megvételre kínáljuk Kaposváron a Nagyváthy János utcán keresztül megközelíthető művelési ág alól kivont alábbi területeket.19239/1 Hrsz számon lévő: 9678 nm-es és a,
19235 hrsz számon lévő terület felső piros vonallal jelölt részéből 2000 nm.
Irodánk független ingyenes banki tanácsadással és hitel ügyintézéssel is ügyfelei rendelkezésére áll.
Amennyiben az ingatlan felkeltette érdeklődését keressen bizalommal elérhetőségeink egyikén!
Érd: Takács Roland +36 70 777-0000 vagy az info@777ingatlan. Hu email címen.
Referencia szám: 65466 Hitel.hu - Hasonlítsa össze a bankok lakáshitel ajánlatait

