Eladó telek - Pilisborosjenő
- INGYENES HIRDETÉS FELADÁS
Ingatlan adatai
- Eladó vagy kiadó:Eladó
- Település:Pilisborosjenő
- Kategória:Telek
- Alkategória:Külterületi
- Alapterület:nincs megadva
- Telekterület:23925 m2
- Csere is:Nem
- Hirdető:Cég
- Élő videón megtekinthető:Nem
- Villany:Utcában
- Víz:Utcában
- Gáz:Utcában
- Csatorna:nincs megadva
- Kapcsolatfelvétel

Takács Zsuzsanna
+36-(30)-495-3819
Mondd meg a hirdetőnek, hogy a megveszLAK-on találtad a hirdetést.
Referencia szám: M316772
Hitel ajánlatok
Ingatlan hirdetés leírása
Eladó Telek, Pilisborosjenő
Pilisborosjenőn, a Bécsi út felett eladó LTb1 építési övezetbe sorolt telek, csak az OTP Ingatlanpont kínálatában.
A terület jelenleg szántó, mely utca felőli végéből alakítható ki a 2474 m2 alapterületű, 54 m széles építési telkek. Az övezeti besorolás alapján épületenként legfeljebb 10 lakás létesíthető.
A beépítettség legnagyobb mértéke 30 %, építménymagasság 7, 5 m. a telek fenti vége marad szántó besorolású, de az további lehetőséget kínál, például ott mobil tároló, garázs, stb. Létesíthető.
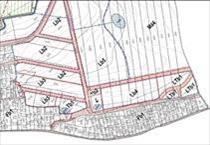
Az alaprajzon a két telek egyben van tüntetve, mellyel együtt eladó a telek.
A két telek egyben, azonos árban eladó, áfa mentes.
A telek alsóbb részére (alaprajzon nincs is jelölve) az önkormányzat igényt tart, mely díja az új tulajdonost illeti meg.
M316772
Beépíthetőség mértéke (%) 30. 0
Hivatalos alapterület (m2) - (ház esetén felépítmény területe) 23 925 m2
Építménymagasság max. (M) 7. 5
Telek szélessége (m) 54. 0
Övezeti besorolás Külterület
Telek lejtése Enyhe
Víz Utcában
Villany Utcában
Csatorna Nincs
Gáz Utcában
Az OTP Ingatlanpont, mint egyetlen közvetlen banki hátterű ingatlanközvetítő társaság teljes körű ügyintézéssel áll az eladók és a vevők rendelkezésére! a kínálatunkból választott ingatlan finanszírozásához minősített fogyasztóbarát, piaci és kedvezményes hitel- és lízingkonstrukciókat kínálunk (lakásvásárlási hitel, CSOK plusz, szabad felhasználású hitel, babaváró hitel, céges hitelek, pályázatok, amennyiben az ügyfél és az ingatlan megfelel a feltételeknek). Az adásvételi szerződés megkötéséhez igény szerint megbízható ügyvédi közreműködést biztosítunk, és segítséget nyújtunk az adásvételhez kapcsolódó egyéb ügyek intézéséhez.
Ha az új ingatlana megvásárlásához a jelenlegi ingatlanát el kell adnia, abban is szívesen segítünk.
Referencia szám: m316772-ml Hitel.hu - Hasonlítsa össze a bankok lakáshitel ajánlatait
Tetszett ez az eladó Pilisborosjenői telek? Hívd fel a hirdetőt most, és tudj meg mindent erről az eladó telekről! Ha gondolod nézelődj tovább az eladó telek Pilisborosjenő oldal hirdetései között.
Az eladó telkek menüpontban további hirdetések között is böngészhetsz. Ha van kedved, akkor böngészhetsz a Takács Zsuzsanna összes hirdetése között, vagy akár a/az OTPip Budapest XIII. kerület Lehel utca 50 - OTP Ingatlanpont Iroda összes hirdetése között is.

