Eladó telek - Görögország, Korfu, Karousades
- INGYENES HIRDETÉS FELADÁS
Ingatlan adatai
- Eladó vagy kiadó:Eladó
- Település: Korfu, Karousades
- Kategória:Telek
- Alkategória:Lakóövezeti
- Alapterület:nincs megadva
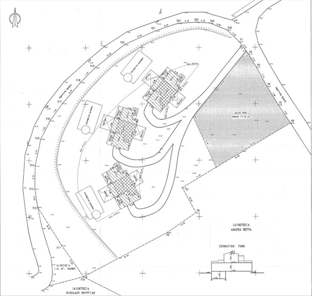
- Telekterület:4700 m2
- Csere is:Nem
- Hirdető:Cég
- Élő videón megtekinthető:Nem
- Villany:nincs megadva
- Víz:nincs megadva
- Gáz:nincs megadva
- Csatorna:nincs megadva
- Kapcsolatfelvétel

Chase Nouri
+44-(777)-534-58-15
Mondd meg a hirdetőnek, hogy a megveszLAK-on találtad a hirdetést.
Referencia szám: 44948
Hitel ajánlatok
Ingatlan hirdetés leírása
Eladó telek Görögország, Korfu, Karousades
Ez a 4, 700m2 engedélyezett telek található egy békés helyen, Karousades, folyamatos naplemente kilátással és erős beruházási potenciállal. a szálláshely teljes tervezési engedéllyel és dokumentációval rendelkezik három külön villa építéséhez, melyek mindegyike saját úszómedencével rendelkezik. Kulcsjellemzők: * Terület mérete: 4, 700 négyzetméter * Építési engedélyek: 3 villára engedélyezve * Villa 1: 71. 20m2 Plusz privát úszómedence * Villa 2: 71. 20m2 Plusz privát úszómedence * Villa 3: 71. 20m2 Plussz privát úszómedence * Helyszín: Csendes beállítás Karousadesben, privát és festői tájak, tenger és naplemente kilátással Befektetési magasságok: * Ready-to-Development: Minden papír és engedély a helyén van, minimalizálva az építkezés megkezdésének idejét. * Rugalmas stratégia: Ideális befektetőknek, akik egyedi egységeket kívánnak fejleszteni és értékesíteni, vagy a Corfu egy délutáni területén lépnek be a nyaralási bérleti piacra. * Turizmus Növekedés: a korfunak továbbra is állandó idegenforgalmi igényei vannak, ami növeli az üdülési bérletek és a naplemente kilátással rendelkező csúcsminőségű ingatlanok vonzerejét. Testreszabási potenciál: Lehetőség a vevő, hogy befolyásolja a tervezés és a befejezés a villák, összehangolja a személyes vagy piacvezérelt preferenciák. Ez kulcsfontosságú fejlesztési lehetőség egy olyan helyen, amely támogatja a hosszú távú tőkefelértékelődést és a rövid távú bérleti bevételt. Alkalmas a Corfu ingatlanpiacon lábat kereső fejlesztőknek vagy befektetőknek egy olyan projekttel, amely készen áll az indulásra. Szomszédos telek is rendelkezésre áll. További részletek, licenciadokumentumok, vagy egy helyszíni látogatás, kérjük, vegye fel a kapcsolatot. Kik vagyunk mi Chase Real Estate Corfu alapul a sziget Corfu egy csapat szakember elkötelezett, hogy vásárol egy ingatlan a lehető legproblémamentesebb. a csapatunk minden lépésnél veled lesz. Vásárlási szolgáltatásunk: Property sourcing Property seewings. . . Hitel.hu - Hasonlítsa össze a bankok lakáshitel ajánlatait

