Eladó telek - Isaszeg
- INGYENES HIRDETÉS FELADÁS
Ingatlan adatai
- Eladó vagy kiadó:Eladó
- Település:Isaszeg
- Kategória:Telek
- Alkategória:Lakóövezeti
- Alapterület:nincs megadva
- Telekterület:3062 m2
- Csere is:Nem
- Hirdető:Cég
- Élő videón megtekinthető:Nem
- Villany:Utcában
- Víz:Utcában
- Gáz:Nincs
- Csatorna:Nincs
- Kapcsolatfelvétel
Fenyvesi Marianna
+36-(20)-981-3790
Mondd meg a hirdetőnek, hogy a megveszLAK-on találtad a hirdetést.
Hitel ajánlatok
Ingatlan hirdetés leírása
CSAK NÁLUNK! -----------CSAK most, AKCIÓS ÁRON juthat hozzá! ...
Csak NÁLUNK!
-----------CSAK most, akciós áron juthat hozzá! -----------------
HORGÁSZOK ---BEFEKTETŐK----FIGYELEM!
Egy kis munkával, saját halas tava lehet, elérhető közelségben és elérhető ÁRON!
Ha hobbi teleket szeretne, a Rákos -patak mellett, a vadregényes terület remek kikapcsolódás.
Ha vállalkozásban gondolkodik, --------akár nyári táboroztatás, akár -------vadaspark, akár --------kalan park, ------ stb. . . Számtalan lehetőség várja! Teremtse meg saját birodalmát.
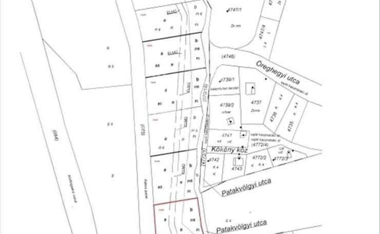
A teljes terület nagyság 18. 376 M², amely 6 db önálló helyrajzi számmal ellátott telekre van osztva. Egyben és külön - külön is ELADÓ!
Az értékesíteni kívánt terület, Isaszeg, Öreghegy városrészének elején, eladó egy 3062 m² alapterületű, Tk, azaz természetközeli terület, övezeti besorolású telek.
A terület 2158 m² rét és 904 m² fásított területet tartalmaz.
6-Os művelési osztályba tartozik, aranykorona értéke 3, 19.
Az utcában víz és villany közművek találhatók.
Megközelíteni murvás, kavicsos úton lehet.
A környéken, nyaralók, és állandó lakhatású ingatlanok vannak.
Ugyan a telekre építeni nem lehet, de egy úszóház akár alternatív megoldás lehet.
Természetközeli TERÜLET,
A Tk jelű természetközeli területen a következő előírásokat kell betartani:
-53/A. §(1) Az övezetbe nádas, lápos, vízjárta területek tartoznak. Az övezetbe épületek nem helyezhetők el.
-(2) Az övezet ingatlanai művelési águknak megfelelően fenntartandók.
-(3) Az övezetbe sorolt, de kivett művelési ágú földútként és egyúttal közterületként nyilvántartott területekre a hész KÖu jelű övezetek előírásai vonatkoznak.
-(4) Az övezetben minden tevékenység kezelési terv alapján végezhető.
Közlekedési és közmű ÖVEZETEK
A KÖu jelű közlekedési övezet (közúti közlekedési területek)
-42. § (1) Az övezetbe tartoznak a meglévő és tervezett közutak a hozzájuk tartozó közlekedésüzemi létesítmények területével és tartozékaival együtt.
-(2) a közlekedési létesítmények szabályozási szélességét a hész 7. § (4) Bekezdésével összhangban szt szerint kell kialakítani.
-(3) Övezeti paraméterek:
-Beépítési mód: szabadon álló.
-Beépítettség terepszint felett 5%.
-Építmény magasság 5 m.
-(4) Az övezetben 500 m2-nél nagyobb bruttó alapterületű építmény csak jóváhagyott szt alapján helyezhető el.
-(5) a közutak építési (szabályozási) szélességén belül a közlekedési létesítmények, a közművek létesítményei és berendezései, környezetvédelmi létesítmények, utca bútorok helyezhetők el, illetve utca fásítás (növényzet) telepíthető.
-(6) Az övezetben a melléképítmények közül közmű-becsatlakozási műtárgy, közműpótló műtárgy, hulladéktartály-tároló (legfeljebb 2, 0 m-es belmagassággal), kirakatszekrény (legfeljebb 0, 40 m-es mélységgel), kerti építmény (hinta, csúszda, homokozó, szökőkút, pihenés és játék céljára szolgáló műtárgy, a terepszintnél 1 m-nél nem magasabbra emelkedő lefedés nélküli terasz), kerti szabadlépcső (tereplépcső) és lejtő, szabadon álló és legfeljebb 6, 0 m magas szélkerék, antenna oszlop, zászlótartó oszlop helyezhetők el.
AZ övezeti besorolása miatt, a törvény által előírt, kifüggesztési kötelezettség mellett lehet megvásárolni!
Ha valaki csak a telek felét, azaz 50%-át szeretné megvásárolni, ügyvédi használati megosztással lehetséges.
Az ár abban az esetben 50% +20% felár = 9. 000. 000 Ft
Eladó továbbá, a 33, 32, 31, 30, és 29 számú telkek is. Egyben 90. 000. 000 Ft
----------Az ingatlan per -teher – és igény mentes! ----------
Ha a hirdetésem felkeltette az érdeklődését, várom a hívását.
A GDN HitelCentrum, kötelezettség mentesen és díjmentesen, versenyezteti Önért a bankok hitelajánlatait. Ismerje meg a vissza nem térítendő állami támogatásokat!
• Babaváró,
• CSOK+
• hitel,
• megtakarítás,
• és egyéb banki tranzakcióban segítségére lehetünk!
• Igény esetén, ügyvédi segítséget nyújtunk, megfizethető áron!
Ha az ingatlannal kapcsolatban bővebb felvilágosításra lenne szüksége, hívjon bizalommal, állok rendelkezésére!
F. M. Hitel.hu - Hasonlítsa össze a bankok lakáshitel ajánlatait
Tetszett ez az eladó Isaszegi telek? Hívd fel a hirdetőt most, és tudj meg mindent erről az eladó telekről! Ha gondolod nézelődj tovább az eladó telek Isaszeg oldal hirdetései között.
Az eladó telkek menüpontban további hirdetések között is böngészhetsz. Ha van kedved, akkor böngészhetsz a Fenyvesi Marianna összes hirdetése között, vagy akár a/az GDN Ingatlanhálózat összes hirdetése között is.

