Eladó telek - Pilisborosjenő
- INGYENES HIRDETÉS FELADÁS
Ingatlan adatai
- Eladó vagy kiadó:Eladó
- Település:Pilisborosjenő
- Kategória:Telek
- Alkategória:Lakóövezeti
- Alapterület:nincs megadva
- Telekterület:11867 m2
- Csere is:Nem
- Hirdető:Cég
- Élő videón megtekinthető:Nem
- Villany:Utcában
- Víz:Utcában
- Gáz:Utcában
- Csatorna:nincs megadva
- Kapcsolatfelvétel

Szlovák Ibolya
+36-(70)-455-0993
Mondd meg a hirdetőnek, hogy a megveszLAK-on találtad a hirdetést.
Referencia szám: M315588
Hitel ajánlatok
Ingatlan hirdetés leírása
Eladó Telek, Pilisborosjenő
Pilisborosjenőn, a Bécsi út felett eladó LTb1 építési övezetbe sorolt telek, csak az OTP Ingatlanpont kínálatában.
A terület jelenleg szántó, mely utca felőli végéből alakítható ki a 1557 m2 alapterületű, 27 m széles építési telkek. Az övezeti besorolás alapján épületenként legfeljebb 10 lakás létesíthető.
A beépítettség legnagyobb mértéke 30 %, építménymagasság 7, 5 m. a telek fenti vége marad szántó besorolású, de az további lehetőséget kínál, például ott mobil tároló, garázs, stb. Létesíthető.
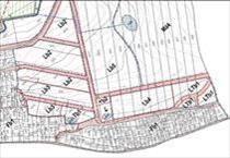
Az alaprajzon a szomszédos telek is fel van tüntetve, mellyel együtt eladó a telek.
A két telek egyben, azonos árban eladó, jelen ár csak az egyik telekre vonatkozik, áfa mentes.
A telek alsóbb részére (alaprajzon nincs is jelölve) az önkormányzat igényt tart, mely díja az új tulajdonost illeti meg.
Érdeklődni: Szlovák Ibolya +36704550993
Referencia szám: m315588-ml Hitel.hu - Hasonlítsa össze a bankok lakáshitel ajánlatait
Tetszett ez az eladó Pilisborosjenői telek? Hívd fel a hirdetőt most, és tudj meg mindent erről az eladó telekről! Ha gondolod nézelődj tovább az eladó telek Pilisborosjenő oldal hirdetései között.
Az eladó telek menüpontban további hirdetések között is böngészhetsz. Ha van kedved, akkor böngészhetsz a Szlovák Ibolya összes hirdetése között, vagy akár a/az OTPip Csongrád Fő utca 54 - OTP Ingatlanpont Iroda összes hirdetése között is.

