Eladó telek - Siófok
- INGYENES HIRDETÉS FELADÁS
Ingatlan adatai
- Eladó vagy kiadó:Eladó
- Település:Siófok
- Kategória:Telek
- Alkategória:Lakóövezeti
- Alapterület:nincs megadva
- Telekterület:600 m2
- Csere is:Nem
- Hirdető:Cég
- Élő videón megtekinthető:Nem
- Villany:Utcában
- Víz:Utcában
- Gáz:Utcában
- Csatorna:Utcában
- Kapcsolatfelvétel

Horváth Péter
+36-(70)-606-2990
Mondd meg a hirdetőnek, hogy a megveszLAK-on találtad a hirdetést.
Ingatlan hirdetés leírása
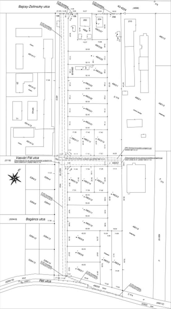
Siófokon a Bajcsy-Zsilinszki utca és a Rét utca közötti újonna...
Siófokon a Bajcsy-Zsilinszki utca és a Rét utca közötti újonnan kialakuló lakóparkban, 900 méterre a Balaton partjától, 600 m2-es és 900 m2-es telkek eladóak engedélyezett építési tervvel!
A telkek lke2-o övezeti besorolásúak:
-30%-os legnagyobb beépíthetőség
-50%-os legkissebb zöldfelület
-5m-es legnagyobb építménymagasság
A kertvárosias lakóterületen egy önálló rendeltetési egységre legalább 300 m² telekhányadnak kell
jutni, így a 600m2-es telken 2 lakást, a 900m2-esen 3 lakást lehet kialakítani.
Árak:
600m2 36. 900. 000. - Ft.
900m2 46. 500. 000. - Ft.
Amennyiben hirdetésem felkeltette az érdeklődését vagy egyéb információra van szüksége hívjon bizalommal! Hitel.hu - Hasonlítsa össze a bankok lakáshitel ajánlatait


