Eladó telek - Tinnye
- INGYENES HIRDETÉS FELADÁS
Ingatlan adatai
- Feladva:40 napja a megveszLAK-on
- Eladó vagy kiadó:Eladó
- Település:Tinnye
- Kategória:Telek
- Alkategória:Lakóövezeti
- Alapterület:nincs megadva
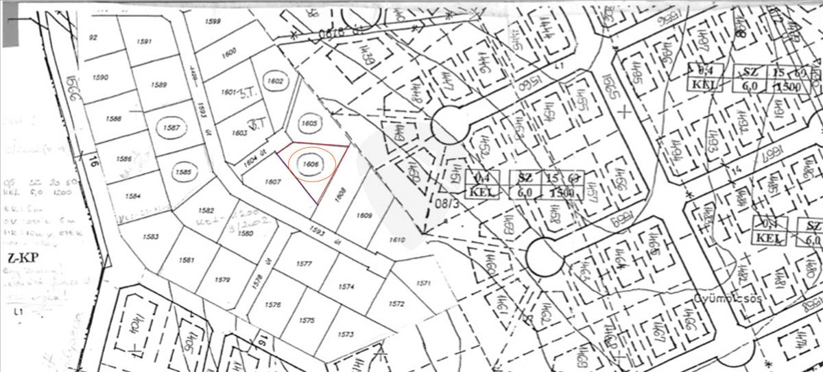
- Telekterület:1506 m2
- Csere is:Nem
- Hirdető:Cég
- Élő videón megtekinthető:Nem
- Villany:Van
- Víz:Van
- Gáz:Van
- Csatorna:Van
- Kapcsolatfelvétel

Petróczy Gréta
+36-(70)-412-5731
Mondd meg a hirdetőnek, hogy a megveszLAK-on találtad a hirdetést.
Hitel ajánlatok
Ingatlan hirdetés leírása
ÖRÖK PANORÁMÁS ÉPÍTÉSI TELEK TINNYÉN – A TERMÉSZET KÖZELSÉGÉBE...
Örök panorámás építési telek tinnyén – a természet közelségében, a jövő BIZTONSÁGÁVAL
Tinnye szívében, a közkedvelt Királyvölgy Lakópark festői környezetében kínálunk eladásra egy 1506 m²-es, összközműves, elvehetetlen örök panorámával rendelkező építési telket.
Ez a különleges ingatlan nem csupán egy üres telek, hanem egy kivételes lehetőség – életminőségben, befektetési potenciálban és természeti adottságokban is páratlan. a telek a Pilis, a Budai-hegység és a Gerecse lenyűgöző vonulataira nyújt zavartalan kilátást, miközben a környezet csendes, békés, és friss levegőjű – tökéletes otthonteremtéshez vagy hosszú távú befektetéshez.
A telek főbb JELLEMZŐI
Méret: 1506 m²
15% beépíthetőség
6 méter építmény magasság
0, 4 a szintterületi mutató
Közművek a telken: villany, víz, gáz, csatorna
Panoráma: örök, zavartalan kilátás a környező hegyekre
Jogilag rendezett, tehermentes, azonnal birtokba vehető
LOKÁCIÓ és ÉLETMÓD
A telek elhelyezkedése egyszerre nyújt nyugalmat és kiváló elérhetőséget:
Mindössze 30 perc Budapesttől autóval
Gyorsvasúti kapcsolat a Nyugati pályaudvarral (Piliscsaba állomás 10 perc autóval)
Közel a természethez – túraútvonalak, dombok, erdők, valamint a népszerű Garancsi-tó és az ikonikus Üvegtigris büfé pár percre
Kiváló infrastruktúra: bolt, orvosi rendelő, óvoda és általános iskola helyben
CSOK Plusz kompatibilis – ideális fiatal családok számára is
MIÉRT ez a TELEK?
Befektetésnek is ideális – a környék dinamikusan fejlődik, az ingatlanárak folyamatosan emelkednek
Modern környezet – új építésű, igényes házakkal körülvett terület
Zöldotthon lehetősége – a természet közelsége és a nagy telekméret lehetővé teszi környezettudatos otthon kialakítását
Ikerház építésére is alkalmas – rugalmas tervezési lehetőségek
Ez a telek nem csupán egy földdarab, hanem egy életstílus: nyugalom, panoráma, természetközeli élet és mégis könnyű elérhetőség Budapest irányába. Legyen szó saját családi otthon megvalósításáról vagy hosszú távú befektetésről – itt az alkalom, hogy megalapozza jövőjét Tinnye egyik legszebb részén.
Keressen bizalommal, szívesen segítek a további kérdésekkel, megtekintéssel vagy a tervezés első lépéseiben is.
Fedezze fel, mit jelent az, amikor az otthona egy lélegzetelállító kilátással kezdődik. Hitel.hu - Hasonlítsa össze a bankok lakáshitel ajánlatait
Tetszett ez az eladó Tinnyei telek? Hívd fel a hirdetőt most, és tudj meg mindent erről az eladó telekről! Ha gondolod nézelődj tovább az eladó telek Tinnye oldal hirdetései között.
Az eladó telkek menüpontban további hirdetések között is böngészhetsz. Ha van kedved, akkor böngészhetsz a Petróczy Gréta összes hirdetése között, vagy akár a/az Petróczy Ingatlan összes hirdetése között is.

