Eladó telek - Zalacsány
- INGYENES HIRDETÉS FELADÁS
Ingatlan adatai
- Eladó vagy kiadó:Eladó
- Település:Zalacsány
- Kategória:Telek
- Alkategória:Lakóövezeti
- Alapterület:nincs megadva
- Telekterület:8797 m2
- Csere is:Nem
- Hirdető:Cég
- Élő videón megtekinthető:Nem
- Villany:Utcában
- Víz:Utcában
- Gáz:Utcában
- Csatorna:Utcában
- Kapcsolatfelvétel

Ács Szilvia
+36-(30)-291-6212
Mondd meg a hirdetőnek, hogy a megveszLAK-on találtad a hirdetést.
Hitel ajánlatok
Ingatlan hirdetés leírása
BEFEKTETŐK, INGATLANFEJLESZTŐK FIGYELEM! Kivételes befektetés...
Befektetők, ingatlanfejlesztők FIGYELEM!
Kivételes befektetési lehetőség Zalacsányban, közvetlenül a Batthyány kastélyszállóval szemben!
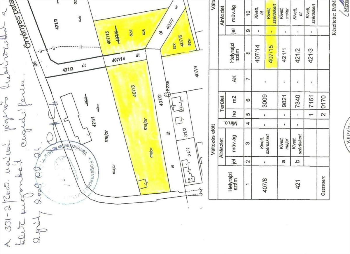
Eladásra kínálok egy összesen 8 797 m²-es belterületi telket, amely 3 külön helyrajzi számon szerepel:
- 5 275 m²
- 2 470 m²
- 1 052 m²
A telkek igény szerint külön-külön vagy egyben is megvásárolhatók.
--------------------
1) 407/3 Hrsz. – 5 275 M² telek
Beépíthetőség: bruttó 1 302 m² épület építhető
Fejlesztési lehetőség:
- 30 lakás
- 5 tömb x 6 lakás
Ár: 5 275 m² x 12 000 Ft/m² = 63 300 000 Ft
--------------------
2) 407/15 hrsz. – 2 470 M² telek
Beépíthetőség: bruttó 608 m² épület építhető
Fejlesztési lehetőség:
- egészségügyi funkciójú és egyéb rekreációs rendeltetésű épület
- + 1 lakás
Ár: 2 470 m² x 12 000 Ft/m² = 29 640 000 Ft
--------------------
3) 407/6 hrsz. – 1 052 M² telek
Beépíthetőség: bruttó 263 m² épület építhető
Fejlesztési lehetőség:
- egészségügyi funkciójú és egyéb rekreációs rendeltetésű épület
- + 1 lakás
Ár: 1 052 m² x 12 000 Ft/m² = 12 624 000 Ft
--------------------
A 3 telek egyben (összesen 8 797 m²) ára: 99 000 000 Ft
Irányár / négyzetméterár: 12 000 Ft/m²
--------------------
Beépítési paraméterek
- Beépíthetőség: 25%
- Párkánymagasság: 6 méter
- Építménymagasság: földszint + emelet + tetőtér
A telek belterületi, elvi építési engedéllyel rendelkezik, a megvalósítási terv elkészült.
A maximális beépíthetőséget kihasználó látványtervek a hirdetésben megtekinthetők.
--------------------
Közművek
Közművek a telekhatáron:
- víz
- villany
- csatorna
- gáz
- internet
A két kisebb teleknél a közmű kb. 200 Méterre található.
--------------------
Kiemelkedő befektetési környezet
- a kastélyszálló nagyon jó kihasználtsággal működik.
- a környék turisztikailag kiemelt: termálturizmus, Balaton-közelség, golf.
- Egészségügyi vagy fogászati rendelő a balatoni és termálvizes idegenforgalom miatt várhatóan kiválóan működne.
- Szomszédságban panzió, golfpálya, előkelő környezet.
Megközelítés:
- Keszthelyen vasút
- a tervezett m76 gyorsforgalmi út tovább növeli a térség értékét
Közelben:
- Keszthely
- Hévíz
- Kehidakustány
- Balaton
- Sármelléki repülőtér
- Ausztria
--------------------
További lehetőség
Igény esetén további 15 hektár terület is értékesítésre kerül.
Kérdéseivel keressen bizalommal! Hitel.hu - Hasonlítsa össze a bankok lakáshitel ajánlatait
Tetszett ez az eladó Zalacsányi telek? Hívd fel a hirdetőt most, és tudj meg mindent erről az eladó telekről! Ha gondolod nézelődj tovább az eladó telek Zalacsány oldal hirdetései között.
Az eladó telkek menüpontban további hirdetések között is böngészhetsz. Ha van kedved, akkor böngészhetsz a Ács Szilvia összes hirdetése között, vagy akár a/az GDN Ingatlanhálózat összes hirdetése között is.

