Eladó telek Dabas
| Kedvencbe | Megosztás | Árfigyelő |
| Kedvezményes lakáshitel ajánlatok | ||
| 16 990 000 HUF | ||
Ingatlan adatai
- Eladó vagy kiadó:Eladó
- Település:Dabas
- Kategória:Telek
- Alkategória:Egyéb
- Alapterület:nincs megadva
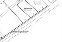
- Telekterület:850 m2
- Csere is:Nem
- Hirdető:Cég
- Élő videón megtekinthető:Nem
- Villany:nincs megadva
- Víz:nincs megadva
- Gáz:nincs megadva
- Csatorna:nincs megadva
- Üzenetküldés
- Hívás


Hitel ajánlat
Ingatlan hirdetés leírása
Eladó Budapesttől 35km-re, Dabason 2db építési telek, egyben, ...
Eladó Budapesttől 35km-re, Dabason 2db építési telek, egyben, illetve külön-külön is.Csendes, nyugodt környék, fásított terület.
A telkek egyenként 850 és 1101m2 területűek,
A teljes telek 1951 m2, mindkettő külön-külön és egyben is eladó.
20 És 30m-es utcafronttal,
30%-os beépíthetőséggel rendelkeznek,
aszfaltozott, minden közművel ellátott utcában találhatóak.
Ár: 850m2 - 16, 99m ft
1101m2 --22, 5 M ft
-Egyben az ár még alkuképes.
Kisebb budapesti lakás csere számításba jöhet
Érd: Sponga Mária
06-70-431-0007 Hitel.hu - Hasonlítsa össze a bankok lakáshitel ajánlatait

