- >>
- eladó ingatlanok
- >>
- eladó telek
- >>
- eladó telek Jászberény
- >>
Eladó telek - Jászberény
| | |||
| Kedvencnek jelölöm | Elküldöm emailben | Megosztás | Szavazás |
| Kedvezményes lakáshitel ajánlatok | |||
| 3 700 000 HUF | |||
Ingatlan adatai
- Eladó vagy kiadó:Eladó
- Település:Jászberény
- Kategória:Telek
- Alkategória:Egyéb
- Alapterület:2081 m2
- Telekterület:nincs megadva
- Csere is:Nem
- Hirdető:Cég
- Élő videón megtekinthető:Nem
- Villany:nincs megadva
- Víz:nincs megadva
- Gáz:nincs megadva
- Csatorna:nincs megadva
- Üzenetküldés
- Hívás


Ingatlan hirdetés leírása
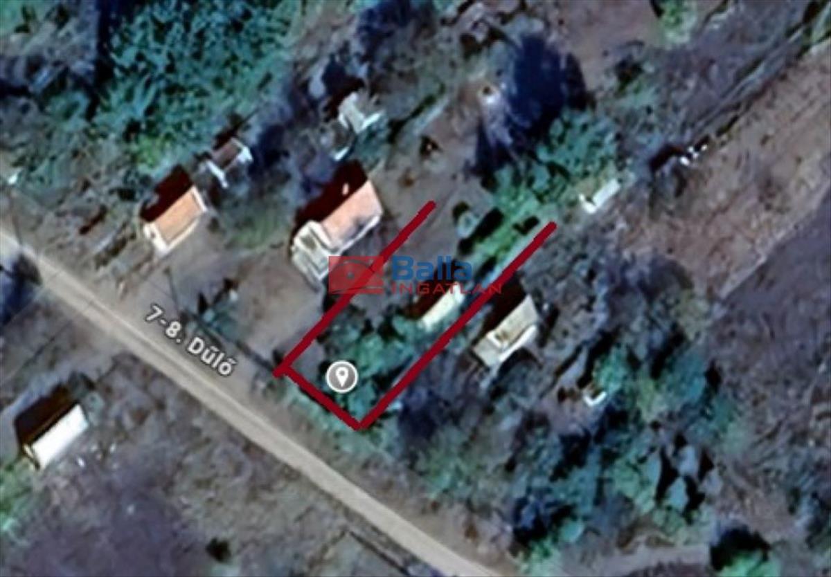
Jászberény külterületén, Neszür 7-es dűlőben rendezett zártker...
Jászberény külterületén, Neszür 7-es dűlőben rendezett zártkertet kínálunk.Művelés alól kivett az ingatlan, nem kell kifüggeszteni!
A telek 12m széles, első része körbekerített, részben szőlővel borított. a hátsó területen gyümölcsfákat és egy kevés akácost találunk.
A telken lévő kis ház stabil, téglából épült, villannyal ellátott - lakhatásra kevésbé alkalmas. Vezetékes víz nincs, a kút jelenleg nem használható.
A terület legbékésebb dűlője ez, vannak állandó lakók is.
Távolsági buszmegálló 850m.
Albérletbe nem kiadó, részletfizetés nem lehetséges.
Gyorsan birtokba vehető - kézpénzes vásárlót várunk! Hitel.hu - Hasonlítsa össze a bankok lakáshitel ajánlatait


