Eladó telek - Kistokaj
- INGYENES HIRDETÉS FELADÁS
Ingatlan adatai
- Eladó vagy kiadó:Eladó
- Település:Kistokaj
- Kategória:Telek
- Alkategória:Egyéb
- Alapterület:nincs megadva
- Telekterület:2030 m2
- Csere is:Nem
- Hirdető:Cég
- Élő videón megtekinthető:Nem
- Villany:nincs megadva
- Víz:nincs megadva
- Gáz:nincs megadva
- Csatorna:nincs megadva
- Kapcsolatfelvétel

Csendom Zsuzsanna
+36702324284
Mondd meg a hirdetőnek, hogy a megveszLAK-on találtad a hirdetést.
Ingatlan hirdetés leírása
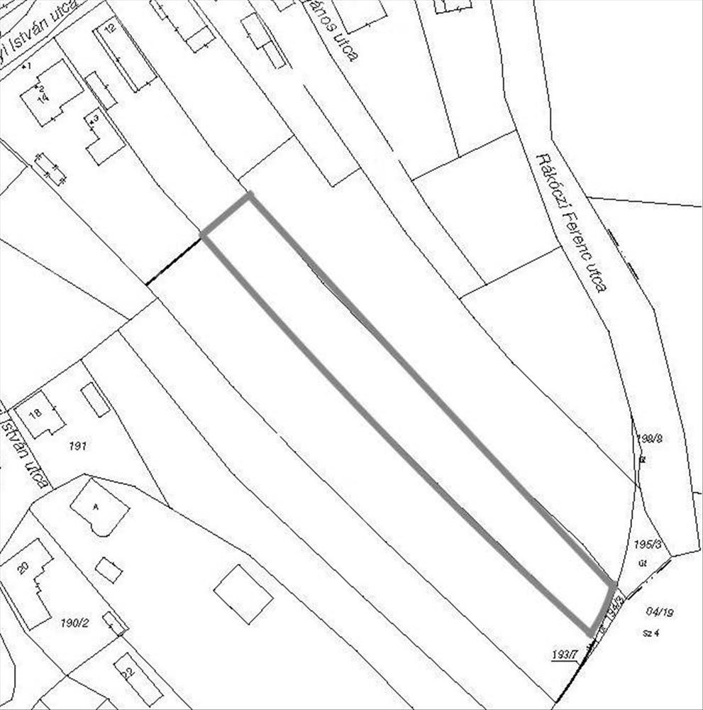
Kistokaj újonnan parcellázott részén egy 2030 nm belterületi é...
Kistokaj újonnan parcellázott részén egy 2030 nm belterületi építési telek eladó, besorolása "Kivett beépítetlen terület".
Szélessége 16 méter, hosszúsága 135 m egyik oldalon, 141 méter a másik oldalon.
Övezeti besorolása: Lf-2 (falusias lakóövezet), amelynek 30% beépíthető és 4, 5 méteres épületmagasság a megengedett, 700 nm legkisebb telekmérettel.
Magasan fekszik, ezáltal a talajvíz nem befolyásolja az új tulajdonos terveit.
A közművek a telek határán vannak. Ideiglenes bekötések elérhetőek igénylés után.
A telekből már megosztásra került a közúthoz a köteles hányad. a közút kivitelezés alatt van. Jelenleg zúzott kavicsos úton lehet elérni az ingatlant. Hitel.hu - Hasonlítsa össze a bankok lakáshitel ajánlatait


