- >>
- eladó ingatlanok
- >>
- eladó telek
- >>
- eladó telek Miskolc
- >>
Eladó telek - Miskolc
| | |||
| Kedvencnek jelölöm | Elküldöm emailben | Megosztás | Szavazás |
| Kedvezményes lakáshitel ajánlatok | |||
| 29 990 000 HUF | |||
Ingatlan adatai
- Eladó vagy kiadó:Eladó
- Település:Miskolc
- Kategória:Telek
- Alkategória:Egyéb
- Alapterület:nincs megadva
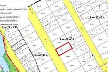
- Telekterület:778 m2
- Csere is:Nem
- Hirdető:Cég
- Élő videón megtekinthető:Nem
- Villany:nincs megadva
- Víz:nincs megadva
- Gáz:nincs megadva
- Csatorna:nincs megadva
- Üzenetküldés
- Hívás


Hitel ajánlat
Ingatlan hirdetés leírása
Megvásárlásra kínálok Miskolc belváros közeli ÖRÖKPANORÁMÁS 77...
Megvásárlásra kínálok Miskolc belváros közeli örökpanorámás 778 nm-es telket.Kiváló lehetőség kivitelezők részére!
Ha pedig családi házban gondolkodik, a telekre egyedi stílusú és kivitelezésű 293 nm-es csodás ház terve is elkészült.
Az erről készült látványvideót megtekintheti a galériánkban.
Legnagyobb beépíthetőség mértéke 35%.
Legnagyobb beépíthetőségi magassága 6 m.
Oldalhatáron álló beépítési mód
Elektromos áram és mérőóra a telken belül
További összközművek az utcában megtalálhatók.
A családi ház tervei nem képezik a vételár részét.
Az ingatlan per-igény és tehermentes, azonnal birtokba vehető.
Amennyiben hirdetésem felkeltette érdeklődését, keressen bizalommal. Hitel.hu - Hasonlítsa össze a bankok lakáshitel ajánlatait

