- >>
- eladó ingatlanok
- >>
- eladó telek
- >>
- eladó telek Őrbottyán
- >>
Eladó telek - Őrbottyán
| | |||
| Kedvencnek jelölöm | Elküldöm emailben | Megosztás | Szavazás |
| Kedvezményes lakáshitel ajánlatok | |||
| 28 000 000 HUF | |||
Ingatlan adatai
- Eladó vagy kiadó:Eladó
- Település:Őrbottyán
- Kategória:Telek
- Alkategória:Egyéb
- Alapterület:nincs megadva
- Telekterület:15000 m2
- Csere is:Nem
- Hirdető:Cég
- Élő videón megtekinthető:Nem
- Villany:Telken belül
- Víz:Utcában
- Gáz:Utcában
- Csatorna:Utcában
- Üzenetküldés
- Hívás


Hitel ajánlat
Ingatlan hirdetés leírása
Eladó Egyéb telek, Őrbottyán, Nincs megadva, 15000nm, 2800000...
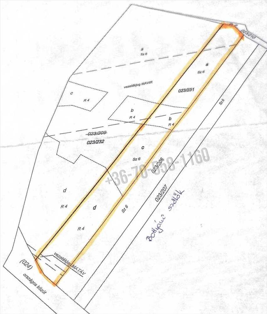
Eladásra kínálok 15000 m2-es má jelű általános mezőgazdasági övezeti telket, Őrbottyán határában Vácrátót felé a Bottyáni szőlőkben, közvetlen az autóbontó mellett 4 telekre, a Fő útról van bejárata.A telek szélessége 30 méter, hossza 500 méter.
A villany kiépítésének befizetése megtörtént.
A természet közelségét is biztosítja, így ideális helyszín lehet egy lakható, gazdasági épület kialakításához, állattartáshoz, növénytermesztéshez.
Az má jelű mezőgazdasági övezet övezeti paraméterei:
1/ beépítési mód szabadon álló,
2/ a beépíthető telek legkisebb területe 10. 000 Méter
3/ a legnagyobb beépítettség terepszint felett 3%,
4/ a legnagyobb beépítettség terepszint alatt 3%,
5/ a legnagyobb épületmagasság 5, 0 méter,
6/ az előkert legkisebb mérete 10 méter,
7/ az oldalkert legkisebb mérete 4 méter,
7/a hátsókert legkisebb mérete 10 méter
A közlekedési lehetőségek nagyon kedvezőek, a város jól megközelíthető autóval, és a közeli tömegközlekedési lehetőségeknek köszönhetően a főváros is könnyen elérhető. a környék infrastruktúrája folyamatosan fejlődik, így a jövőbeni beruházások és a település növekedése biztosítja, hogy a telek értéke csak növekedni fog az elkövetkező években.
Ajánlom Önnek ezt a rendkívüli lehetőséget, Őrbottyán infrastruktúrája állandóan fejlődik.
A település növekedése biztosítja, hogy a telek értéke növekedni fog az elkövetkezendő időben.
A mezőgazdasági telek tehermentes, a földtörvény hatálya alá esik, kifüggesztés köteles! .
Ár: 30. 000. 000. -Ft
További információért és a megtekintéssel kapcsolatban, várom megtisztelő hívását!
Amiben még segíteni tudok:
- ha a vásárláshoz még el kell adnia ingatlanát
- energetikai tanúsítvány készítése 72 órán belül
- ingyenes hitelügyintézés
- jogi háttér
- földhivatali ügyintézés
- értékbecslés, piaci ármeghatározás
- költöztetés, lomtalanítás
- ajánlatok küldése e-mailben országos adatbázisból. Hitel.hu - Hasonlítsa össze a bankok lakáshitel ajánlatait

