Eladó termőföld, szántó - Budapest XVIII. kerület
- INGYENES HIRDETÉS FELADÁS
Ingatlan adatai
- Eladó vagy kiadó:Eladó
- Település:Budapest XVIII. kerület
- Kategória:Mezőgazdasági ingatlan
- Alkategória:Termőföld, szántó
- Alapterület:695 m2
- Telekterület:nincs megadva
- Csere is:Nem
- Hirdető:Cég
- Élő videón megtekinthető:Nem
- Fűtés:nincs megadva
- Bútorozottság:nincs megadva
- Fényviszony:nincs megadva
- Tájolás:nincs megadva
- Internet:nincs megadva
- Klíma:nincs megadva
- Akadálymentesített:nincs megadva
- Energiatanúsítvány:nincs megadva
- Villany:nincs megadva
- Víz:nincs megadva
- Gáz:nincs megadva
- Csatorna:nincs megadva
- Kapcsolatfelvétel

Hámor Péter
+36-(70)-387-4032
Mondd meg a hirdetőnek, hogy a megveszLAK-on találtad a hirdetést.
Hitel ajánlatok
Ingatlan hirdetés leírása
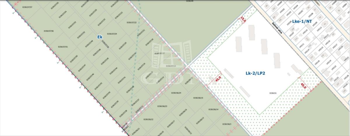
Budapest 18.kerületben, a Belsőmajor dűlő közelében eladó kült...
Budapest 18. kerületben, a Belsőmajor dűlő közelében eladó külterületi 1689 nm -es telek 7/17 tulajdoni hányada, azaz 695 nm . a telekrész megvásárlásával elővásárlási jogot szerez a többi rész, illetve a szomszédos telkek megvásárlására.
A szántó megnevezésű ingatlan 7 minőségi osztályú, ek besorolású, azaz közjóléti erdőterület.
Felhasználási lehetőségeit a mellékelt hész leírás tartalmazza.
A telek kb. 54, 2 Méter utcafronti résszel rendelkezik, jól járható, aszfaltos út mellett található, közel a belterületi részhez. Hitel.hu - Hasonlítsa össze a bankok lakáshitel ajánlatait
Tetszett ez az eladó Budapest XVIII. kerületi mezőgazdasági ingatlan? Hívd fel a hirdetőt most, és tudj meg mindent erről az eladó mezőgazdasági ingatlanról! Ha gondolod nézelődj tovább az eladó mezőgazdasági ingatlan Budapest XVIII. kerület oldal hirdetései között.
Az eladó mezőgazdasági ingatlanok menüpontban további hirdetések között is böngészhetsz. Ha van kedved, akkor böngészhetsz a Hámor Péter összes hirdetése között, vagy akár a/az GDN Ingatlanhálózat összes hirdetése között is.

