Eladó telek - Sülysáp
- INGYENES HIRDETÉS FELADÁS
Ingatlan adatai
- Eladó vagy kiadó:Eladó
- Település:Sülysáp
- Kategória:Telek
- Alkategória:Lakóövezeti
- Alapterület:nincs megadva
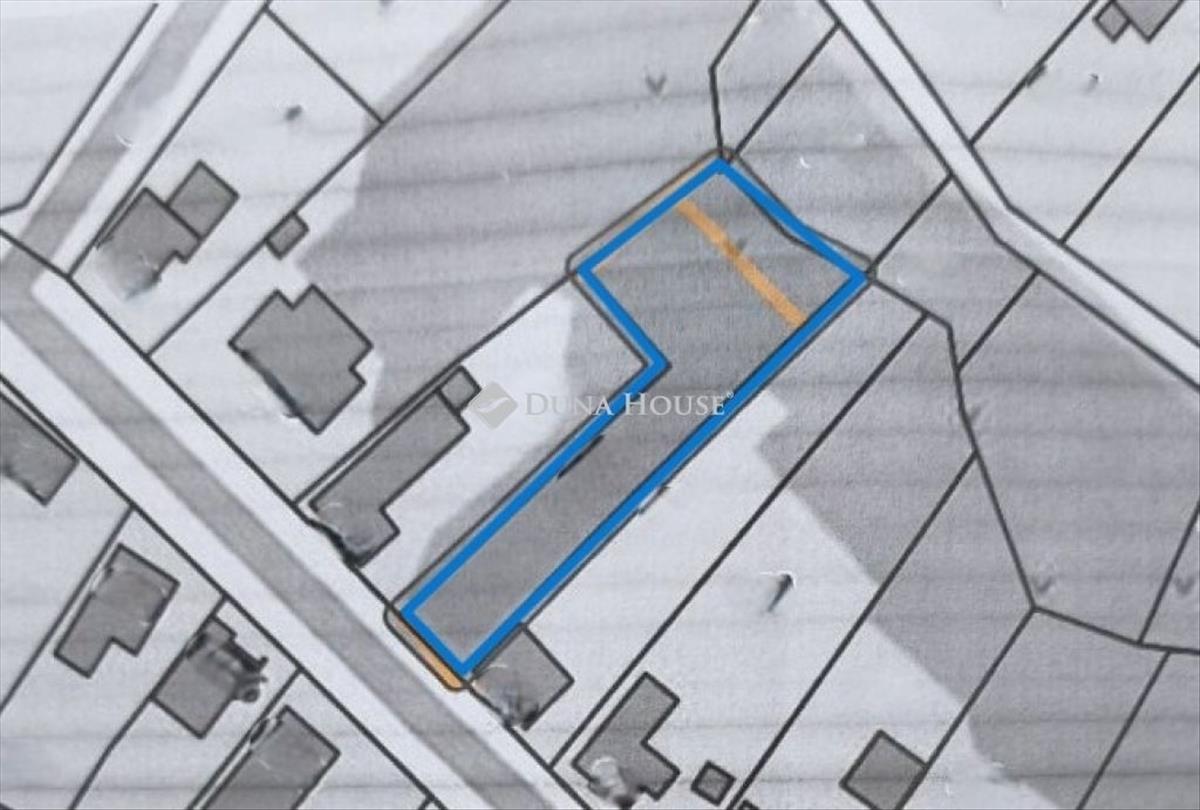
- Telekterület:982 m2
- Csere is:Nem
- Hirdető:Cég
- Élő videón megtekinthető:Nem
- Villany:Telken belül
- Víz:Telken belül
- Gáz:Utcában
- Csatorna:Telken belül
- Kapcsolatfelvétel

Király Mária
+36-(20)-224-2600
Mondd meg a hirdetőnek, hogy a megveszLAK-on találtad a hirdetést.
Referencia szám: TK062474
Hitel ajánlatok
Ingatlan hirdetés leírása
Eladó telek, Sülysáp
Építési telek eladó Sülysápon rendezett környezetben! Eladásra kínálok Sülysápon egy 982 m2-es, belterületi lakóövezeti telket. Az ingatlan rendezett házakkal beépített utcában található. Főbb paraméterek:Telekméret: 982 m2Besorolás: Belterület (lakóövezet)Utcafront: 11 mTelek hátsó szélessége: 23 m Beépíthetősége: 30 %Váeom hívását, nézzük meg együtt!
Referencia szám: tk062474 Hitel.hu - Hasonlítsa össze a bankok lakáshitel ajánlatait
Tetszett ez az eladó Sülysápi telek? Hívd fel a hirdetőt most, és tudj meg mindent erről az eladó telekről! Ha gondolod nézelődj tovább az eladó telek Sülysáp oldal hirdetései között.
Az eladó telkek menüpontban további hirdetések között is böngészhetsz. Ha van kedved, akkor böngészhetsz a Király Mária összes hirdetése között, vagy akár a/az Duna House Maglód összes hirdetése között is.

