Eladó telek - Spanyolország, Coín
- INGYENES HIRDETÉS FELADÁS
Ingatlan adatai
- Eladó vagy kiadó:Eladó
- Település:Coín
- Kategória:Telek
- Alkategória:Lakóövezeti
- Alapterület:nincs megadva
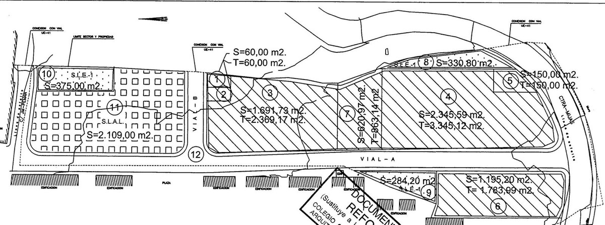
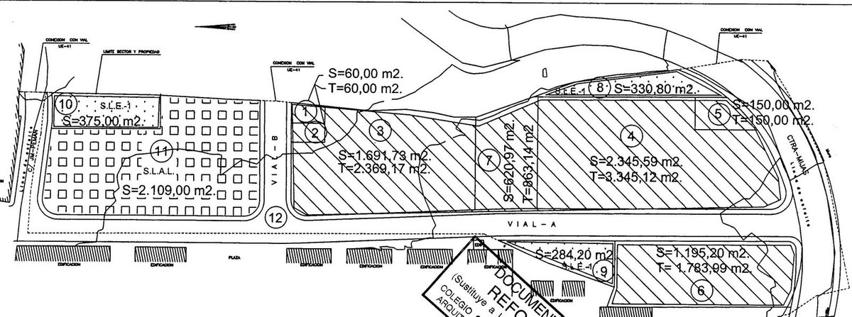
- Telekterület:1195 m2
- Csere is:Nem
- Hirdető:Cég
- Élő videón megtekinthető:Nem
- Villany:nincs megadva
- Víz:nincs megadva
- Gáz:nincs megadva
- Csatorna:nincs megadva
- Kapcsolatfelvétel

Dorina
+36 30 684 7087
Mondd meg a hirdetőnek, hogy a megveszLAK-on találtad a hirdetést.
Hitel ajánlatok
Ingatlan hirdetés leírása
Eladó telek Coín, Eladó telek - Spanyolország, Coín
Érme, Malaga. . . Befektetések és épületek figyelem! Nagy telken található a város Coín.
Megépítendő: Az épület földszinti (kereskedelmi helyiségekhez tervezett), első, második, harmadik emeleti és tetőtéri (földszint + 1. + 2. + 3. + Penthouse), összesen 22 apartmannal, valamint kereskedelmi helyiségekkel a földszinten.
Ez a terület a Coín önkormányzati kerület jelentős és gyümölcsöző fejlődésen megy keresztül. Nagyon jól kapcsolódik a bejáratok és kijáratok Málaga, Cártama, Alhaurín de la Torre, Oján és Marbella, körülbelül 23 km-re. Két épületet már megépítettek, és ez a telek megfelel a harmadik épületnek. a földterület 1, 195. 20 M ² -es, és a Coín Városháza által jóváhagyott városi földterületnek minősül. a megfelelő speciális tervet, a földújraelosztási projektet és az Urbanizációs Projektet elkészítettük és véglegesítettük. Az Urbanizációs Tervhez kapcsolódó összes költséget, díjat és beruházási adót eddig teljes mértékben kifizették.
A földszint feletti építhető terület 1, 783. 99 M ², az alagsor pedig 1, 195. 20 M ², parkolásra és tárolásra. Az épület egy földszinti (kereskedelmi helyiségek), első, második, harmadik, és penthouse szint (Ground Floor + 1. + 2. + 3. + Penthouses), összesen 22 apartman plusz kereskedelmi helyiségek a földszinten. a tervezett ingatlanokat azonosító tervek mellékelve vannak; a projektet jóváhagyták, és települési építési engedéllyel rendelkezik.
A föld mentes minden zálogtól vagy terheléstől.
Ez az ár magában foglalja a települési építési engedélyt, az alap- és részletes tervezési díjakat, valamint az egyéb Urbanizációs költségeket. Nyitottak vagyunk az ajánlatokra.
Azt is meg lehet fontolni, hogy egy értékesítés például 30% -os cserét is magában foglaljon, hogy a befektető lényegesen alacsonyabb árat fizessen, és bizonyos otthonokat a megfelelő parkolóhelyekkel hozzájáruljon az eladókhoz. Hitel.hu - Hasonlítsa össze a bankok lakáshitel ajánlatait

